岐阜県岐阜市小野_5172888.0 Price ¥790 Area 141.9 坪 Type 売地 Show Details Description 現況渡 東海道本線 「岐… Price ¥790 Show Details
岐阜県関市迫間_7290204.0 Price ¥835 Area 196.8 坪 Type 売地 Show Details Description 更地渡 セットバック要 … Price ¥835 Show Details
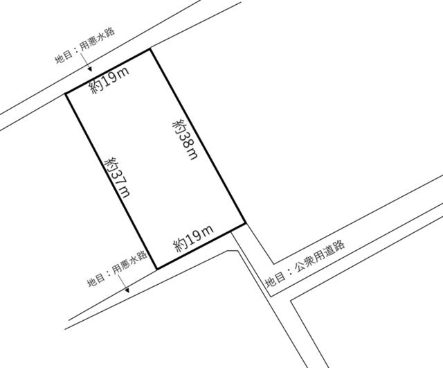
岐阜県岐阜市小西郷_17250693.0 Price ¥874 Area 124.9 坪 Type 売地 Show Details Description 更地渡 売主により建物解… Price ¥874 Show Details
岐阜県関市西田原_31138515.0 Price ¥115 Area 229.9 坪 Type 売地 Show Details Description 現況渡 ・1991番2(… Price ¥115 Show Details
岐阜県岐阜市門屋溝上_33655145.0 Price ¥510 Area 175.7 坪 Type 売地 Show Details Description 現況渡 地目…宅地、畑、… Price ¥510 Show Details
岐阜県関市肥田瀬_29994784.0 Price ¥934 Area 133.4 坪 Type 売地 Show Details Description 現況渡 長良川鉄道 「関… Price ¥934 Show Details