岐阜県関市西田原_31138515.0

¥115

メモ

現況渡

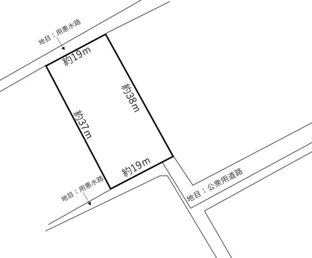
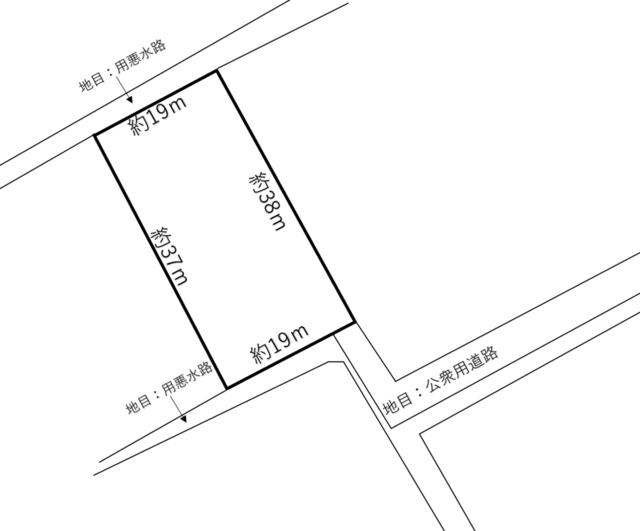
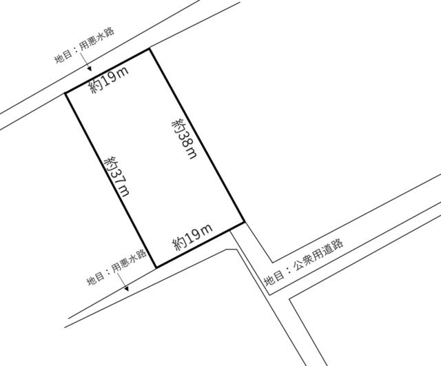
・1991番2(公衆用道路:関市所有)に接道する ※建築基準法上の道路でない為、建築は不可・上下水道延長工事、敷地内引込費用・負担金を要す・木曽川用水決済金を要す・都市機能誘導区域外・居住誘導区域外※現況が異なる場合は現況を優先します 【法令上の制限:農振除外申請を要す・農地法第5条転用許可を要す】

高山本線 「坂祝」駅 徒歩3700m

詳細

  • 価格(万円)
    115.0
  • 面積(㎡)
    760.0
  • 坪数
    229.9
  • 都市計画
    未線引区域
  • 用途地域
    無指定
  • 地目
    田 
  • 建ぺい率
    60%・200%
  • 設備・サービス
    ・1991番2(公衆用道路:関市所有)に接道する ※建築基準法上の道路でない為、建築は不可・上下水道延長工事、敷地内引込費用・負担金を要す・木曽川用水決済金を要す・都市機能誘導区域外・居住誘導区域外※現況が異なる場合は現況を優先します 【法令上の制限:農振除外申請を要す・農地法第5条転用許可を要す】
  • 土地権利
    所有権
  • 最適用途
    畑・農地
  • 条件等
    現況渡 
  • 引き渡し
    相談
  • 特記事項
    お問い合わせ(無料)
  • 備考
    岐阜県関市西田原 周辺地図
  • 取引態様
    媒介